Back to results 976 sqm Land for Sale in Miyota, Karuizawa Resort Area

Needs Verification

This listing hasn't been verified recently. Tap to request a priority check!

Know someone who would love this? Gift them a subscription

¥38,400,000

Shiono, Miyota Town, Kitasaku District, Nagano Prefecture

長野県北佐久郡御代田町大字塩野

Sign in to save properties

Work with our partners to help you search, evaluate, and purchase property in Japan.

Book a Consultation
Buy Mountain Property Land Panoramic View Rural Golf Course Nearby

Full description available to subscribers

Includes AI translation, hazard data, cost estimates & nearby amenities

Start Free Trial

Vacant Land with Resort Potential in Karuizawa's Miyota Area

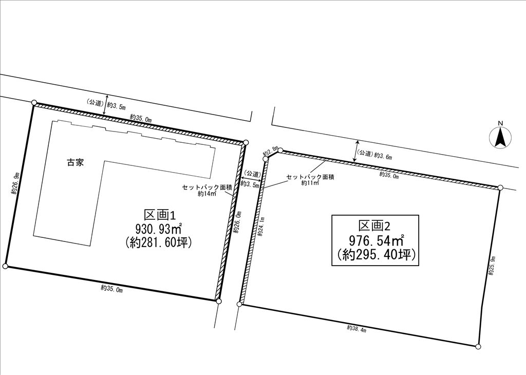
This 976.54 square meter (approximately 295.40 tsubo) plot of land is situated in the desirable Karuizawa resort region of Nagano Prefecture. The property is designated as residential land and offers a prime location approximately 900 meters (about a 3-minute drive) from the entrance to the Oasama Golf Club. The current condition of the site is an unused parking lot, providing a blank canvas for development. A key feature is the scenic view of the Yatsugatake mountain range visible from the southwest side of the property.

According to the agent's notes, the property comes with specific conditions. The electrical service is provided by Chubu Electric Power Co. Critically, entry into the property from the northeast side road is not permitted. For a bulk purchase, the land area includes a separate, non-contiguous parcel (飛び地) of 930.93 square meters (public register), located approximately 3.5 meters away from the main plot. The site is paved in its current state and will be delivered as-is. While public water mains are installed on the front road, a separate connection and construction work will be required to bring water onto the land. The property is also located within a sediment disaster warning area (Yellow Zone).

The area is governed by the Nagano Prefecture Landscape Ordinance (Asama Mountain Foothills Landscape Development Priority Area) and local Miyota Town environmental and development guidelines. The plot has a building coverage ratio of 60% and a floor area ratio of 100%. Height is restricted to 20 meters or 6 stories, with required setbacks from road and neighboring boundaries.

The surrounding Karuizawa and Miyota area is renowned for its cool summers, beautiful nature, and status as a premier highland resort. An interesting fact is that Karuizawa became a popular summer retreat for foreign diplomats and the Japanese elite in the late 19th century after being discovered by a Canadian missionary. The closest major landmark is the majestic Mount Asama, an active volcano and one of Japan's most famous peaks, which dominates the skyline and offers spectacular views from many points in the region.

This description was AI-generated from the original Japanese listing and may contain inaccuracies. Please verify details with the source listing.

Summary

Land size: 977 / 10,511sqft

Short-Term Rental (Minpaku)

Transport

HND

Haneda Airport — 147 km away

Nearby Konbini

Seven Eleven Seven Eleven — 58 min walk

Internet Connectivity

Natural Hazard Assessment

Flood Risk Low Risk
Landslide Risk Moderate
Tsunami Risk Low Risk
Earthquake Hazard Moderate

Natural Hazard Assessment

Flood, landslide, tsunami & earthquake risk data for this property

Start Free Trial

Purchase Cost & Tax Estimates

Agent fees, acquisition tax, registration costs & annual property tax

Airbnb Revenue Estimate

Projected nightly rate, occupancy & net income for this property

Investment ROI

Annual yield, break-even timeline & 10-year return projection

Map & Street View

Map loading...

Location Accuracy Notice: Although we try to make the map accurate with coordinates or address details provided, the location data is provided by the agent. This map data should be used as reference for the surrounding area foremost.

Location Type Beds Price Land House View

* Sold properties shown for price comparison only. Prices reflect historical sale data.

Location Type Beds Rent/Month Land House View

* Rental prices shown are monthly rates. Contact property owner for current availability.