Back to results Land for Sale in Yamatotakada City, Nara - 713.91 sqm Vacant Lot
Added 5 days ago
¥29,800,000

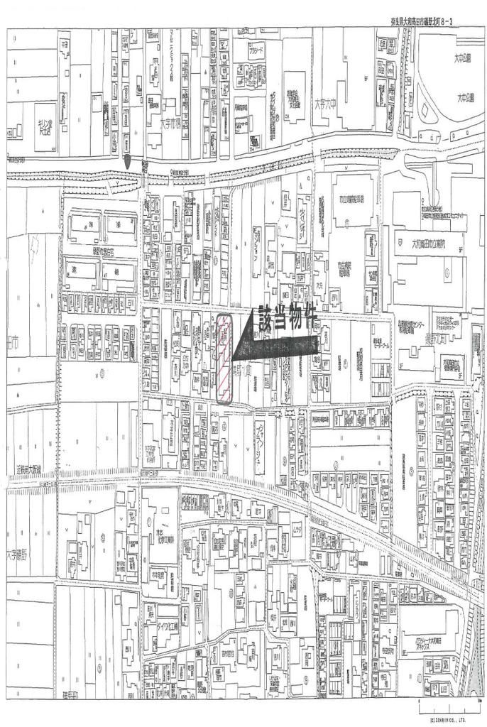
35-2 Isonokita-cho, Yamatotakada City, Nara Prefecture

奈良県大和高田市礒野北町35-2

Buy Near Station Land Suburban

Know someone who would love this? Gift them a subscription

This property has more to show

Earthquake & flood hazard assessment
Purchase cost & tax estimates
Full AI-translated description

Trusted by property buyers worldwide

Start 3-Day Free Trial

$5/month after trial · Cancel anytime

Land for Sale in Yamatotakada City, Nara Prefecture

This listing presents a substantial plot of land for sale in the residential area of Isonokita-cho, Yamatotakada City, Nara Prefecture. The property is a vacant lot, ready for immediate handover, offering a blank canvas for construction. The land is situated on a corner lot with road frontage on both the north and south sides, providing excellent access. The north side faces a 4-meter wide public road managed by Takada City, while the south side faces a 3-meter wide public road.

The property is located within an Urbanization Area and is zoned as a Category I Medium-to-High-Rise Exclusive Residential District. The land is flat, with a building-to-land ratio of 60% and a floor area ratio of 160%. The site is fully serviced with public water supply, city gas, and sewer systems. According to the agent's notes, the current status is a vacant lot. The agent encourages interested parties to feel free to inquire, stating: "Vacant lot. If you would like to see it in person for free, please feel free to contact us with your preferred date." A further remark notes: "Building Standards Act Article 22 Fire Prevention Zone. Vacant lot handover."

The location offers convenient access to public transport, with Kintetsu Minami-Osaka Line's Takadashi Station approximately a 13-minute walk away and JR Wakayama Line's Takada Station about a 20-minute walk. The neighborhood provides essential amenities, including Takadashi Station's shopping street, Yamatotakada City Hall, Yamatotakada Municipal Hospital, and Daichu Park nearby.

This description was AI-generated from the original Japanese listing and may contain inaccuracies. Please verify details with the source listing.

Summary

Land size: 714 / 7,685sqft

Short-Term Rental (Minpaku)

Transport

ITM

Osaka International Airport — 41 km away

Nearby Konbini

Family Mart Family Mart — 7 min walk
Daily Yamazaki Daily Yamazaki — 8 min walk
Lawson Store 100 Lawson Store 100 — 12 min walk

Internet Connectivity

Natural Hazard Assessment

Hazard data is a subscriber feature

Know the flood, landslide & tsunami risks before you buy

View Plans
¥29,800,000
Purchase Cost & Tax Estimates
Subscribe
Agent fee (3% + tax)¥000,000
Acquisition tax¥000,000
Registration & stamp¥000,000
Property tax (annual)¥00,000/yr
Subscribe to view cost & tax estimates →
Nightly Rate
Occupancy Rate
Max operating days/year
Est. booked nights/year
Gross annual revenue
Expenses breakdown
Cleaning
Platform fees (3%)
Management (20%)
Supplies
Insurance
Utilities
Total expenses
Net annual income
Monthly equivalent

Actual revenue varies by location, property quality, season, and management. Adjust sliders to model different scenarios.

Renovation Budget
Annual Rental Income

Auto-filled from Airbnb estimate

Purchase price
Renovation
Transaction costs
Total investment
Property tax
Insurance
Maintenance
Annual yield
Break-even
5-year return
10-year return
0 yr5101520+

Estimates only. Actual returns depend on rental demand, management quality, renovation scope, and market conditions. Adjust sliders to model scenarios.

35-2 Isonokita-cho, Yamatotakada City, Nara Prefecture

奈良県大和高田市礒野北町35-2

Get Started

Sign in to save properties

Map & Street View

Map loading...

Location Accuracy Notice: Although we try to make the map accurate with coordinates or address details provided, the location data is provided by the agent. This map data should be used as reference for the surrounding area foremost.

Location Type Beds Price Land House View

* Sold properties shown for price comparison only. Prices reflect historical sale data.

Location Type Beds Rent/Month Land House View

* Rental prices shown are monthly rates. Contact property owner for current availability.