Back to results Residential Land Plot in Konan City, Kōchi Prefecture
Added 7 days ago
¥6,585,599

2345-9 Tokioji, Kagamicho, Konan City, Kōchi Prefecture

高知県香南市香我美町徳王子2345-9

Buy Land Rural Quiet Area

Know someone who would love this? Gift them a subscription

This property has more to show

Earthquake & flood hazard assessment
Purchase cost & tax estimates
Full AI-translated description

Trusted by property buyers worldwide

Start 3-Day Free Trial

$5/month after trial · Cancel anytime

Land Plot in Konan City, Kōchi Prefecture

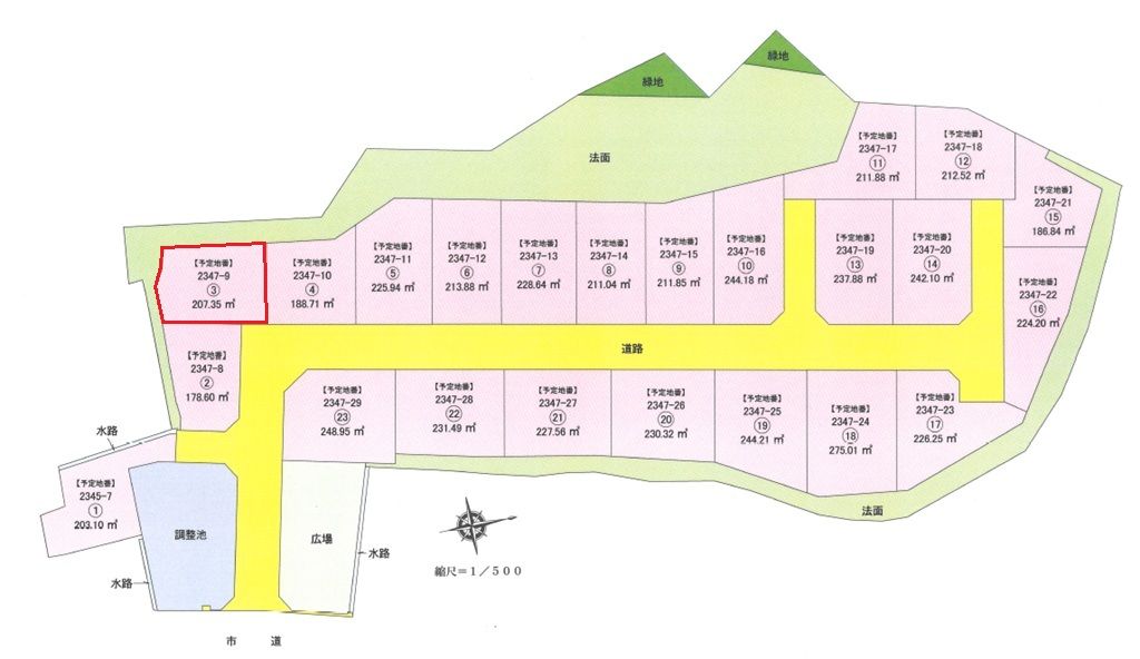
This is a residential land plot located in the newly developed area of Tokioji, Kagami-cho, Konan City, Kōchi Prefecture. The plot is part of a larger development comprising a total of 23 lots, all sold without any pre-set construction conditions. This allows buyers the freedom to choose their preferred builder and design their own home.

The property is a vacant lot, ready for immediate construction. The land is flat and benefits from frontage on a public road over 6 meters wide. Essential infrastructure is in place, with public water supply and a septic tank system available. The plot is situated outside of tsunami and flood hazard map inundation zones, offering a degree of security from these specific natural disaster risks.

Access to the area is provided by the Tosa Kuroshio Gomen-Nahari Line, with Kagami Station approximately a 28-minute walk away. The neighborhood is described in local reviews as having a pleasant balance of nature and quiet, making it a comfortable place to live. For viewings or further inquiries regarding this plot, interested parties are encouraged to contact the agent to arrange a convenient date.

This description was AI-generated from the original Japanese listing and may contain inaccuracies. Please verify details with the source listing.

Summary

Land size: 207 / 2,232sqft

Short-Term Rental (Minpaku)

Transport

KIX

Kansai International Airport — 169 km away

Nearest Konbini

lawson Lawson — 26 min walk

Internet Connectivity

Natural Hazard Assessment

Hazard data is a subscriber feature

Know the flood, landslide & tsunami risks before you buy

View Plans
¥6,585,599
Purchase Cost & Tax Estimates
Subscribe
Agent fee (3% + tax)¥000,000
Acquisition tax¥000,000
Registration & stamp¥000,000
Property tax (annual)¥00,000/yr
Subscribe to view cost & tax estimates →
Nightly Rate
Occupancy Rate
Max operating days/year
Est. booked nights/year
Gross annual revenue
Expenses breakdown
Cleaning
Platform fees (3%)
Management (20%)
Supplies
Insurance
Utilities
Total expenses
Net annual income
Monthly equivalent

Actual revenue varies by location, property quality, season, and management. Adjust sliders to model different scenarios.

Renovation Budget
Annual Rental Income

Auto-filled from Airbnb estimate

Purchase price
Renovation
Transaction costs
Total investment
Property tax
Insurance
Maintenance
Annual yield
Break-even
5-year return
10-year return
0 yr5101520+

Estimates only. Actual returns depend on rental demand, management quality, renovation scope, and market conditions. Adjust sliders to model scenarios.

2345-9 Tokioji, Kagamicho, Konan City, Kōchi Prefecture

高知県香南市香我美町徳王子2345-9

Get Started

Sign in to save properties

Map & Street View

Map loading...

Location Accuracy Notice: Although we try to make the map accurate with coordinates or address details provided, the location data is provided by the agent. This map data should be used as reference for the surrounding area foremost.

Location Type Beds Price Land House View

* Sold properties shown for price comparison only. Prices reflect historical sale data.

Location Type Beds Rent/Month Land House View

* Rental prices shown are monthly rates. Contact property owner for current availability.