Back to results Vacant Land Plot in Konan City, Kochi - New Development, No Build Conditions
Added 7 days ago
¥6,278,800

2345-10 Tokuoji, Kogamicho, Konan City, Kochi Prefecture

高知県香南市香我美町徳王子2345-10

Buy Land Rural Quiet Area

Know someone who would love this? Gift them a subscription

This property has more to show

Earthquake & flood hazard assessment
Purchase cost & tax estimates
Full AI-translated description

Trusted by property buyers worldwide

Start 3-Day Free Trial

$5/month after trial · Cancel anytime

Land Plot in a Newly Developed Residential Area in Kochi Prefecture

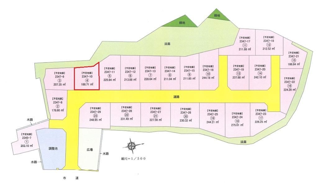
This vacant land plot is located in the newly developed "Kogamicho Tokuoji" residential area in Konan City, Kochi Prefecture. The plot is part of a larger development comprising a total of 23 lots, offering a fresh opportunity for custom home building.

The property is a flat, cleared plot of land with a total area of 188.71 square meters (approximately 57.08 tsubo). It is situated on a public road over 6 meters wide, with a frontage of 13.9 meters. The land is designated for residential use and is not subject to any specific land use district regulations. The building-to-land ratio is 60% and the floor area ratio is 200%. There are no pre-set construction conditions, meaning buyers are free to choose their preferred builder and design a home to their own specifications.

Critical agent notes provide essential information. The current status is a vacant lot, and the agent encourages interested parties to feel free to inquire about arranging a viewing at a preferred date and time. A further remark clarifies that the entire development consists of 23 lots with no construction conditions, allowing construction with the builder of your choice. Importantly, the agent notes that the plot is located outside of tsunami and flood hazard map inundation areas, a significant point for safety and peace of mind.

Access is provided by the Tosa Kuroshio Gomen-Nahari Line, with Kogami Station approximately a 28-minute walk away. The area is noted for being a quiet town with a good balance of nature, and the Kogami Interchange is nearby for highway access. Local amenities include Kogami Elementary School and Kogami Junior High School within a few kilometers.

This description was AI-generated from the original Japanese listing and may contain inaccuracies. Please verify details with the source listing.

Summary

Land size: 189 / 2,031sqft

Short-Term Rental (Minpaku)

Transport

KIX

Kansai International Airport — 169 km away

Nearest Konbini

lawson Lawson — 26 min walk

Internet Connectivity

Natural Hazard Assessment

Hazard data is a subscriber feature

Know the flood, landslide & tsunami risks before you buy

View Plans
¥6,278,800
Purchase Cost & Tax Estimates
Subscribe
Agent fee (3% + tax)¥000,000
Acquisition tax¥000,000
Registration & stamp¥000,000
Property tax (annual)¥00,000/yr
Subscribe to view cost & tax estimates →
Nightly Rate
Occupancy Rate
Max operating days/year
Est. booked nights/year
Gross annual revenue
Expenses breakdown
Cleaning
Platform fees (3%)
Management (20%)
Supplies
Insurance
Utilities
Total expenses
Net annual income
Monthly equivalent

Actual revenue varies by location, property quality, season, and management. Adjust sliders to model different scenarios.

Renovation Budget
Annual Rental Income

Auto-filled from Airbnb estimate

Purchase price
Renovation
Transaction costs
Total investment
Property tax
Insurance
Maintenance
Annual yield
Break-even
5-year return
10-year return
0 yr5101520+

Estimates only. Actual returns depend on rental demand, management quality, renovation scope, and market conditions. Adjust sliders to model scenarios.

2345-10 Tokuoji, Kogamicho, Konan City, Kochi Prefecture

高知県香南市香我美町徳王子2345-10

Get Started

Sign in to save properties

Map & Street View

Map loading...

Location Accuracy Notice: Although we try to make the map accurate with coordinates or address details provided, the location data is provided by the agent. This map data should be used as reference for the surrounding area foremost.

Location Type Beds Price Land House View

* Sold properties shown for price comparison only. Prices reflect historical sale data.

Location Type Beds Rent/Month Land House View

* Rental prices shown are monthly rates. Contact property owner for current availability.