Back to results Building-Conditioned Land for Sale in Saeki-ku, Hiroshima

Needs Verification

This listing hasn't been verified recently. Tap to request a priority check!

Know someone who would love this? Gift them a subscription

¥24,000,000

4 Chome-53-10,11 Yawata, Saeki-ku, Hiroshima City, Hiroshima Prefecture

広島県広島市佐伯区八幡四丁目53番10、11

Sign in to save properties

Work with our partners to help you search, evaluate, and purchase property in Japan.

Book a Consultation
Buy Land Gas Heating/Cooking Near School Quiet Area

Unlock the full description with a free trial

Includes AI translation, hazard data, cost estimates & nearby amenities

3 days free · cancel anytime

Start Free Trial

Tamatawn Saeki-ku Yawata: A Prime Residential Development in Hiroshima

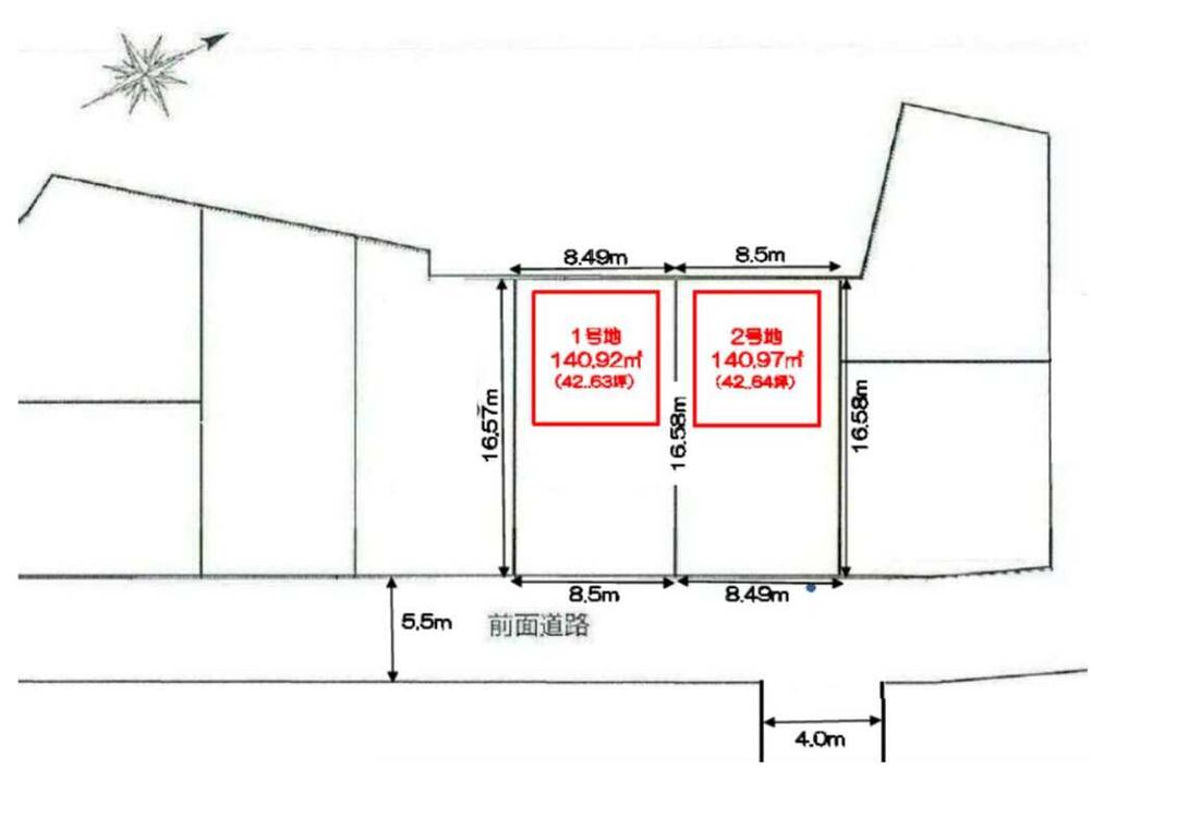
Tamatawn Saeki-ku Yawata presents a rare opportunity to acquire a plot of land in a well-planned residential development in Hiroshima City. This sale features two building-conditioned lots, offering the chance to build your custom home in a convenient and family-friendly neighborhood. The development is situated on level land, ensuring ease of construction and future use.

According to the agent's notes, a key feature of this property is that the land does not require a development permit application, simplifying the initial steps towards building your new home. The area is fully serviced with public water, electricity, city gas, and public sewer systems. The lots are designated as building-conditioned land, meaning the sale is contingent upon entering into a building contract with the designated contractor within a specified period, providing a streamlined path from purchase to construction.

The development boasts excellent proximity to local amenities. Yawata Nursery School is approximately a 4-minute walk (about 300 meters) away, while Yawata Elementary School is about a 5-minute walk (approximately 350 meters). Jonan Junior High School is within a 15-minute walking distance (about 1200 meters). Each lot can accommodate parallel parking for two vehicles. The price range is from 24 million yen for Lot 1 (140.92 sqm) to 24.1 million yen for Lot 2 (140.97 sqm).

This description was AI-generated from the original Japanese listing and may contain inaccuracies. Please verify details with the source listing.

Summary

Parking: 2
Land size: 141 / 1,517sqft

Short-Term Rental (Minpaku)

Transport

FUK

Fukuoka Airport — 198 km away

Nearby Konbini

Lawson Lawson — 3 min walk

Internet Connectivity

Natural Hazard Assessment

Flood Risk Low Risk
Landslide Risk Moderate
Tsunami Risk Low Risk
Earthquake Hazard Moderate

Unlock hazard data with a free trial

Flood, landslide, tsunami & earthquake risk for this property

3 days free · cancel anytime

Start Free Trial

Purchase Cost & Tax Estimates

Agent fees, acquisition tax, registration costs & annual property tax

Airbnb Revenue Estimate

Projected nightly rate, occupancy & net income for this property

Investment ROI

Annual yield, break-even timeline & 10-year return projection

Map & Street View

Map loading...

Location Accuracy Notice: Although we try to make the map accurate with coordinates or address details provided, the location data is provided by the agent. This map data should be used as reference for the surrounding area foremost.

Location Type Beds Price Land House View

* Sold properties shown for price comparison only. Prices reflect historical sale data.

Location Type Beds Rent/Month Land House View

* Rental prices shown are monthly rates. Contact property owner for current availability.