Back to results Residential Land for Sale in Osaki City, Miyagi
New Today
¥8,600,000

Furukawa Kita-Inaba 3-chome, Osaki City, Miyagi Prefecture

宮城県大崎市古川北稲葉3丁目

Buy Land Rural Suburban Quiet Area

Know someone who would love this? Gift them a subscription

This property has more to show

Earthquake & flood hazard assessment
Purchase cost & tax estimates
Full AI-translated description

Trusted by property buyers worldwide

Start 3-Day Free Trial

$5/month after trial · Cancel anytime

Land for Sale in Osaki City, Miyagi Prefecture

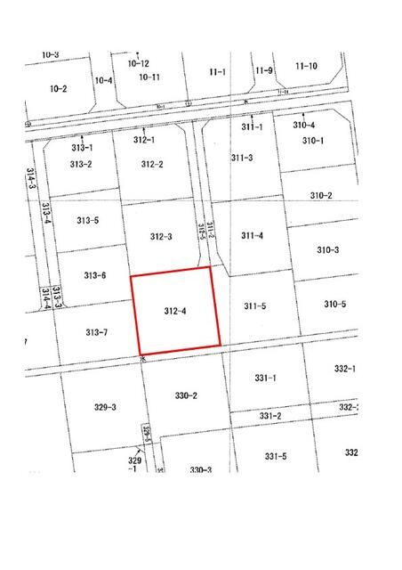
This residential plot is located in Osaki City, Miyagi Prefecture, within the Furukawa Kita-Inaba 3-chome area. The land has a total area of 361.18 square meters (approximately 109.25 tsubo). The site is designated for residential use and is situated in a Category I Exclusive Residential Zone, with a building coverage ratio of 60% and a floor area ratio of 160%.

The property is equipped with essential utilities: public water supply, side ditches, and electricity. Access is via a one-sided road to the north, which is 4 meters wide and is a private road with a designated location. A special note indicates the property is within a city-promoted area for septic tank system installation. The land is flat and is currently in a condition with an old house present. The optimal use for the land is residential construction, and it is possible to rebuild on the site.

For transportation, the Tohoku Shinkansen's Furukawa Station is approximately a 30-minute walk away. The local schools, Osaki City Furukawa Dai-Go Elementary School and Osaki City Furukawa Minami Junior High School, are within 1357 meters and 1122 meters, respectively.

This description was AI-generated from the original Japanese listing and may contain inaccuracies. Please verify details with the source listing.

Summary

Land size: 361 / 3,888sqft

Short-Term Rental (Minpaku)

Transport

NRT

Narita International Airport — 314 km away

Nearest Konbini

seven_eleven Seven Eleven — 4 min walk

Internet Connectivity

Natural Hazard Assessment

Hazard data is a subscriber feature

Know the flood, landslide & tsunami risks before you buy

View Plans
¥8,600,000
Purchase Cost & Tax Estimates
Subscribe
Agent fee (3% + tax)¥000,000
Acquisition tax¥000,000
Registration & stamp¥000,000
Property tax (annual)¥00,000/yr
Subscribe to view cost & tax estimates →
Nightly Rate
Occupancy Rate
Max operating days/year
Est. booked nights/year
Gross annual revenue
Expenses breakdown
Cleaning
Platform fees (3%)
Management (20%)
Supplies
Insurance
Utilities
Total expenses
Net annual income
Monthly equivalent

Actual revenue varies by location, property quality, season, and management. Adjust sliders to model different scenarios.

Renovation Budget
Annual Rental Income

Auto-filled from Airbnb estimate

Purchase price
Renovation
Transaction costs
Total investment
Property tax
Insurance
Maintenance
Annual yield
Break-even
5-year return
10-year return
0 yr5101520+

Estimates only. Actual returns depend on rental demand, management quality, renovation scope, and market conditions. Adjust sliders to model scenarios.

Furukawa Kita-Inaba 3-chome, Osaki City, Miyagi Prefecture

宮城県大崎市古川北稲葉3丁目

Get Started

Sign in to save properties

Map & Street View

Map loading...

Location Accuracy Notice: Although we try to make the map accurate with coordinates or address details provided, the location data is provided by the agent. This map data should be used as reference for the surrounding area foremost.

Location Type Beds Price Land House View

* Sold properties shown for price comparison only. Prices reflect historical sale data.

Location Type Beds Rent/Month Land House View

* Rental prices shown are monthly rates. Contact property owner for current availability.