Back to results Land with Warehouse for Sale in Hoki Town, Tottori

Needs Verification

This listing hasn't been verified recently. Tap to request a priority check!

¥200,000

岩立, Hoki Town, Saihaku District, Tottori Prefecture

鳥取県西伯郡伯耆町岩立

Buy Land Warehouse Parking Storage Shed Workshop Rural Near Highway

Know someone who would love this? Gift them a subscription

This property has more to show

Earthquake & flood hazard assessment
Purchase cost & tax estimates
Full AI-translated description

Trusted by property buyers worldwide

Start 3-Day Free Trial

$5/month after trial · Cancel anytime

Land with Warehouse in Hoki Town, Tottori Prefecture

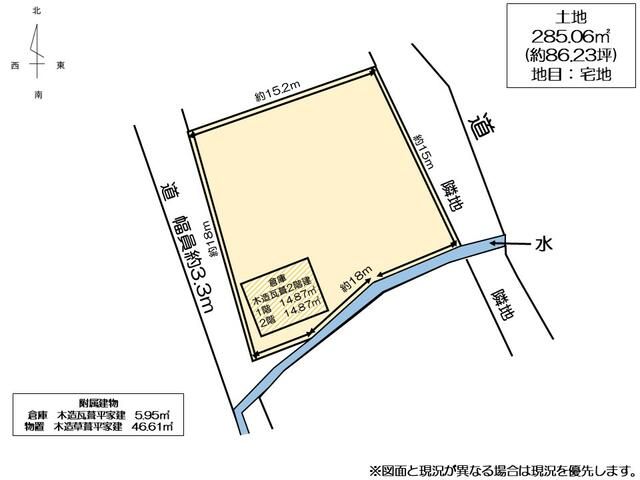
This listing presents a land parcel with existing warehouse structures in the quiet town of Hoki, Tottori Prefecture. The property is designated as residential land (宅地) and is located outside of urban planning areas, offering flexibility. The key feature is the inclusion of several storage buildings. According to the agent's notes, the site includes a two-story wooden warehouse with a tile roof, with each floor measuring 14.87㎡. There is also a separate single-story wooden warehouse with a tile roof measuring 5.95㎡, and a single-story wooden shed with a thatched roof measuring 46.61㎡. The age of the main structures is noted as 'detailed unknown, over 45 years old'. The land area is a substantial 285.06㎡ (approximately 86.23 tsubo), and the property is noted as being optimal for warehouse use (倉庫用地). Access is convenient, with the Mizoguchi Interchange approximately a 6-minute drive away, and the property includes parking space.

The area is part of the scenic Tottori Prefecture, known for its natural beauty and relaxed pace of life. An interesting local fact is that Tottori is Japan's least populous prefecture, offering vast stretches of untouched nature and some of the country's most spectacular sand dunes. The closest major tourist attraction is the majestic Mount Daisen, an extinct volcano often called the 'Tottori Fuji' for its beautiful conical shape. It is a popular destination for hiking, skiing, and enjoying seasonal foliage.

This description was AI-generated from the original Japanese listing and may contain inaccuracies. Please verify details with the source listing.

Summary

Land size: 285 / 3,068sqft

Short-Term Rental (Minpaku)

Transport

ITM

Osaka International Airport — 190 km away

Nearby Konbini

Lawson Lawson — 49 min walk
Poplar Poplar — 50 min walk

Internet Connectivity

Natural Hazard Assessment

Hazard data is a subscriber feature

Know the flood, landslide & tsunami risks before you buy

View Plans
¥200,000
Purchase Cost & Tax Estimates
Subscribe
Agent fee (3% + tax)¥000,000
Acquisition tax¥000,000
Registration & stamp¥000,000
Property tax (annual)¥00,000/yr
Subscribe to view cost & tax estimates →
Nightly Rate
Occupancy Rate
Max operating days/year
Est. booked nights/year
Gross annual revenue
Expenses breakdown
Cleaning
Platform fees (3%)
Management (20%)
Supplies
Insurance
Utilities
Total expenses
Net annual income
Monthly equivalent

Actual revenue varies by location, property quality, season, and management. Adjust sliders to model different scenarios.

Renovation Budget
Annual Rental Income

Auto-filled from Airbnb estimate

Purchase price
Renovation
Transaction costs
Total investment
Property tax
Insurance
Maintenance
Annual yield
Break-even
5-year return
10-year return
0 yr5101520+

Estimates only. Actual returns depend on rental demand, management quality, renovation scope, and market conditions. Adjust sliders to model scenarios.

岩立, Hoki Town, Saihaku District, Tottori Prefecture

鳥取県西伯郡伯耆町岩立

Get Started

Sign in to save properties

Map & Street View

Map loading...

Location Accuracy Notice: Although we try to make the map accurate with coordinates or address details provided, the location data is provided by the agent. This map data should be used as reference for the surrounding area foremost.

Location Type Beds Price Land House View

* Sold properties shown for price comparison only. Prices reflect historical sale data.

Location Type Beds Rent/Month Land House View

* Rental prices shown are monthly rates. Contact property owner for current availability.